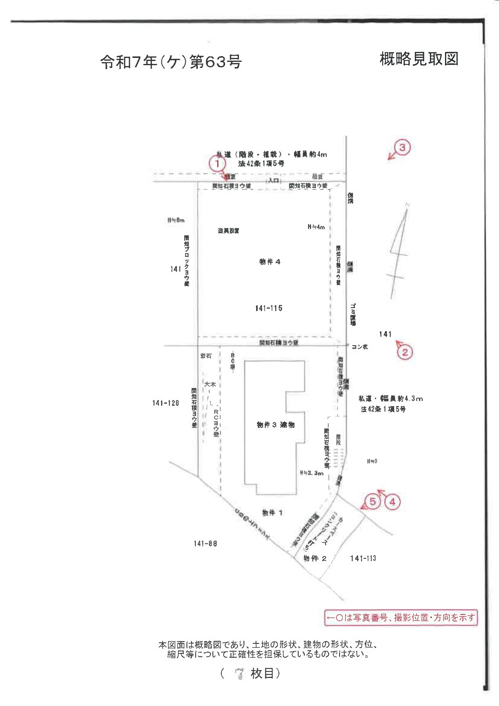
兵庫県 西宮市兵庫県西宮市苦楽園四番町 141番114
🚉阪急電鉄 / 甲陽園 徒歩32分
売却基準価額 (裁判所評価額)
2,525万円
阪急電鉄 / 甲陽園 徒歩32分(2.0 km)
阪急電鉄 / 苦楽園口 徒歩33分(2.1 km)
物件の概況
| contact_url | https://www.bit.courts.go.jp/info/info_33331.html |
|---|---|
| 入札期間 | 令和08年04月09日 〜 令和08年04月16日 |
| 開札期日 | 令和08年04月23日 |
| 公示開始日 | 令和08年03月24日 |
| 閲覧開始日 | 令和08年03月24日 |
🤖 AI 総合分析レポート
機能アップデート中
機能は現在開発中です。
次期バージョンでアップデートされる予定です。




















