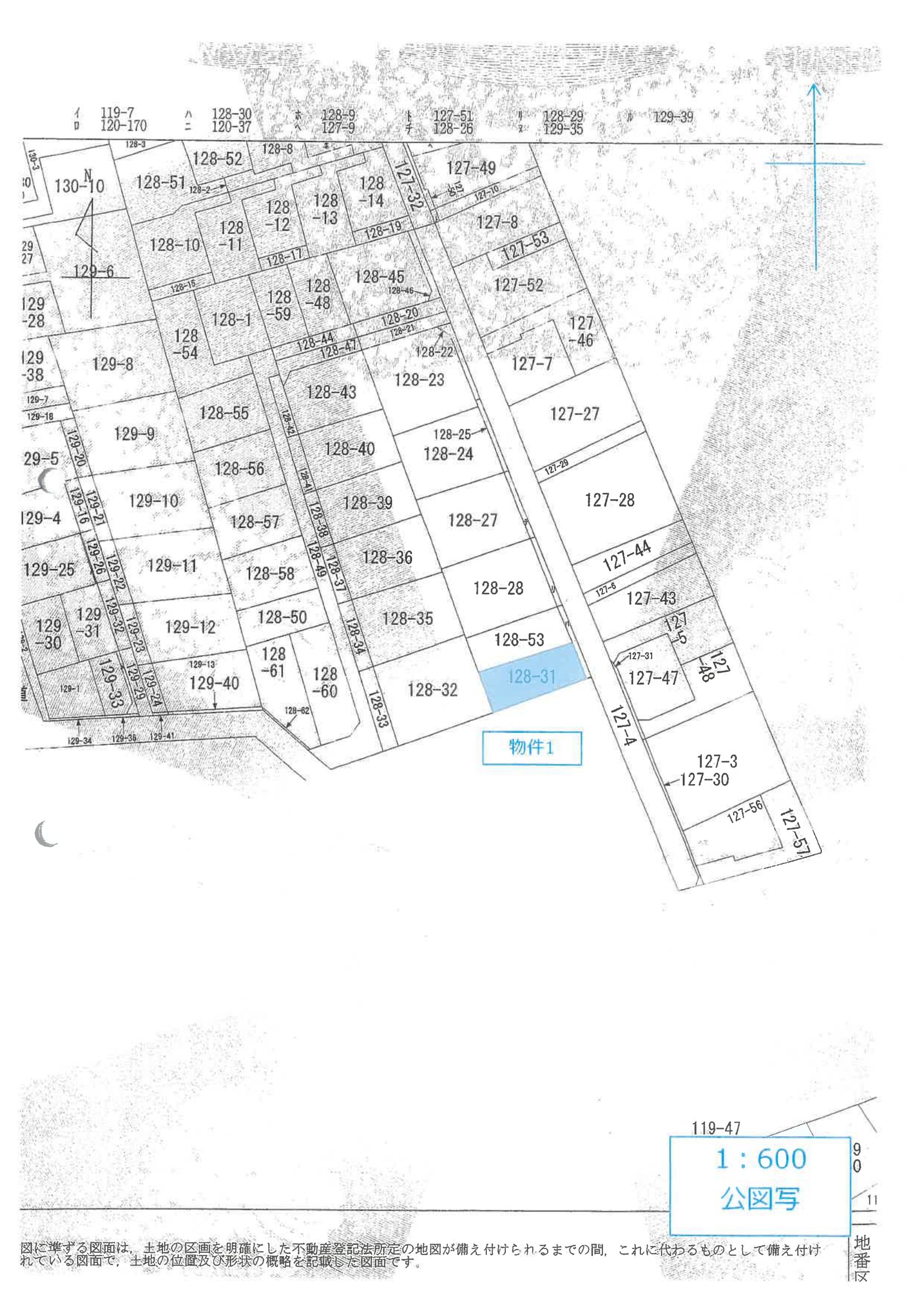
東京都 練馬区東京都練馬区関町南二丁目 128番31
🚉西武鉄道 / 上石神井 徒歩20分
売却基準価額 (裁判所評価額)
3,173万円
西武鉄道 / 上石神井 徒歩20分(1.2 km)
西武鉄道 / 武蔵関 徒歩21分(1.3 km)
物件の概況
| contact_url | https://www.bit.courts.go.jp/info/info_31111.html |
|---|---|
| 入札期間 | 令和08年04月09日 〜 令和08年04月16日 |
| 開札期日 | 令和08年04月22日 |
| 公示開始日 | 令和08年03月25日 |
| 閲覧開始日 | 令和08年03月25日 |
🤖 AI 総合分析レポート
機能アップデート中
機能は現在開発中です。
次期バージョンでアップデートされる予定です。















