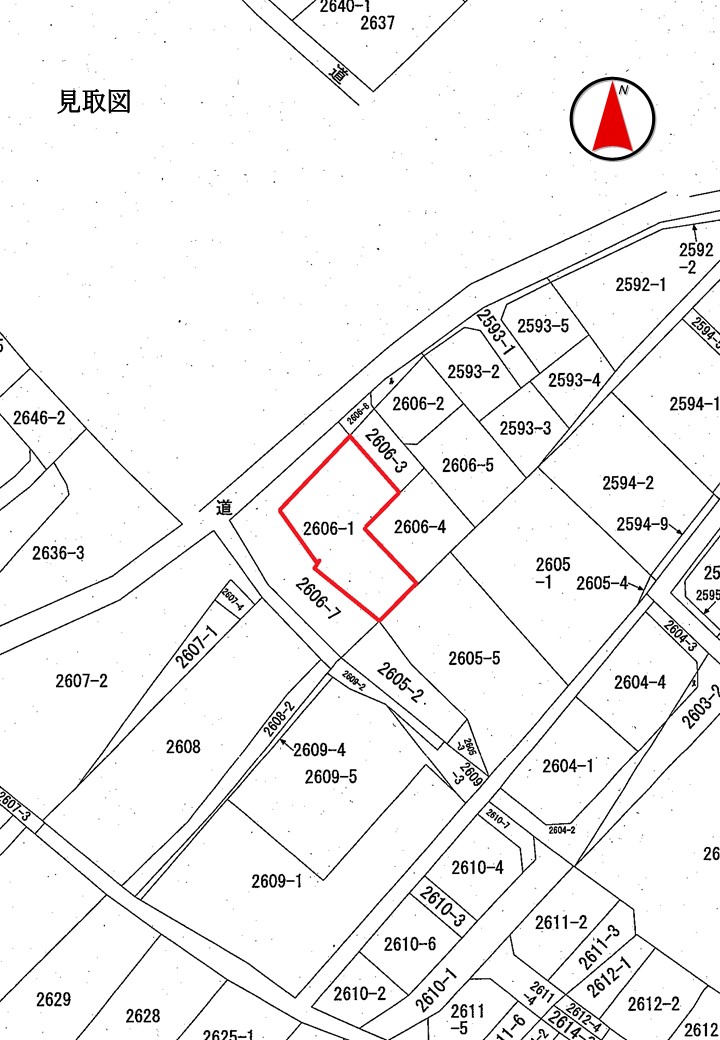
神奈川県 愛甲郡神奈川県愛甲郡愛川町半原字市之田2606番1
🚉ダム下 山麓 徒歩30分
売却基準価額 (裁判所評価額)
420万円
ダム下 山麓 徒歩30分(1.9 km)
ダム上 山頂 徒歩30分(1.9 km)
入札締切
あと28日
2026年05月14日
📋 物件の概況NTA
| 交通機関 | 小田急電鉄 小田原線 本厚木駅 北西方約14キロメートル |
|---|---|
| 入札期間 | 令和8年5月1日午前9時00分 から 令和8年5月14日午後5時00分 |
| 実施局署 | 東京 国税局 |
| 見積価額 | 4,200,000円 |
| 開札期日 | 令和8年5月19日午前10時00分 |
🤖 AI 総合分析レポート
機能アップデート中
機能は現在開発中です。
次期バージョンでアップデートされる予定です。













