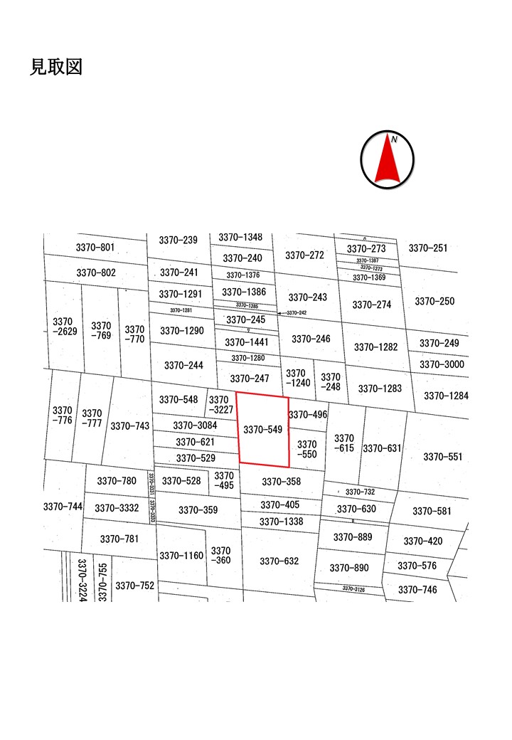
栃木県 那須郡栃木県那須郡那須町大字高久乙字遅山3370番549
🚉高久 徒歩183分
売却基準価額 (裁判所評価額)
65万円
高久 徒歩183分(11.7 km)
黒磯 徒歩190分(12.1 km)
入札締切
あと28日
2026年05月14日
📋 物件の概況NTA
| 交通機関 | JR(東日本) 東北本線 黒磯駅 北西方約14キロメートル |
|---|---|
| 入札期間 | 令和8年5月1日午前9時00分 から 令和8年5月14日午後5時00分 |
| 実施局署 | 東京 国税局 |
| 見積価額 | 650,000円 |
| 開札期日 | 令和8年5月19日午前10時00分 |
🤖 AI 総合分析レポート
機能アップデート中
機能は現在開発中です。
次期バージョンでアップデートされる予定です。













