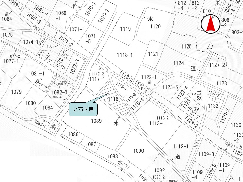
岐阜県 揖斐郡岐阜県揖斐郡揖斐川町三輪1116番地
🚉養老鉄道 / 揖斐 徒歩25分
売却基準価額 (裁判所評価額)
44万円
養老鉄道 / 揖斐 徒歩25分(1.6 km)
養老鉄道 / 美濃本郷 徒歩60分(3.8 km)
入札締切
あと28日
2026年05月14日
📋 物件の概況NTA
| 交通機関 | 養老鉄道 揖斐駅 徒歩約29分 |
|---|---|
| 入札期間 | 令和8年4月30日午前9時00分 から 令和8年5月14日午後5時00分 |
| 実施局署 | 名古屋 国税局 |
| 見積価額 | 440,000円 |
| 開札期日 | 令和8年5月19日午前10時00分 |
🤖 AI 総合分析レポート
機能アップデート中
機能は現在開発中です。
次期バージョンでアップデートされる予定です。
















