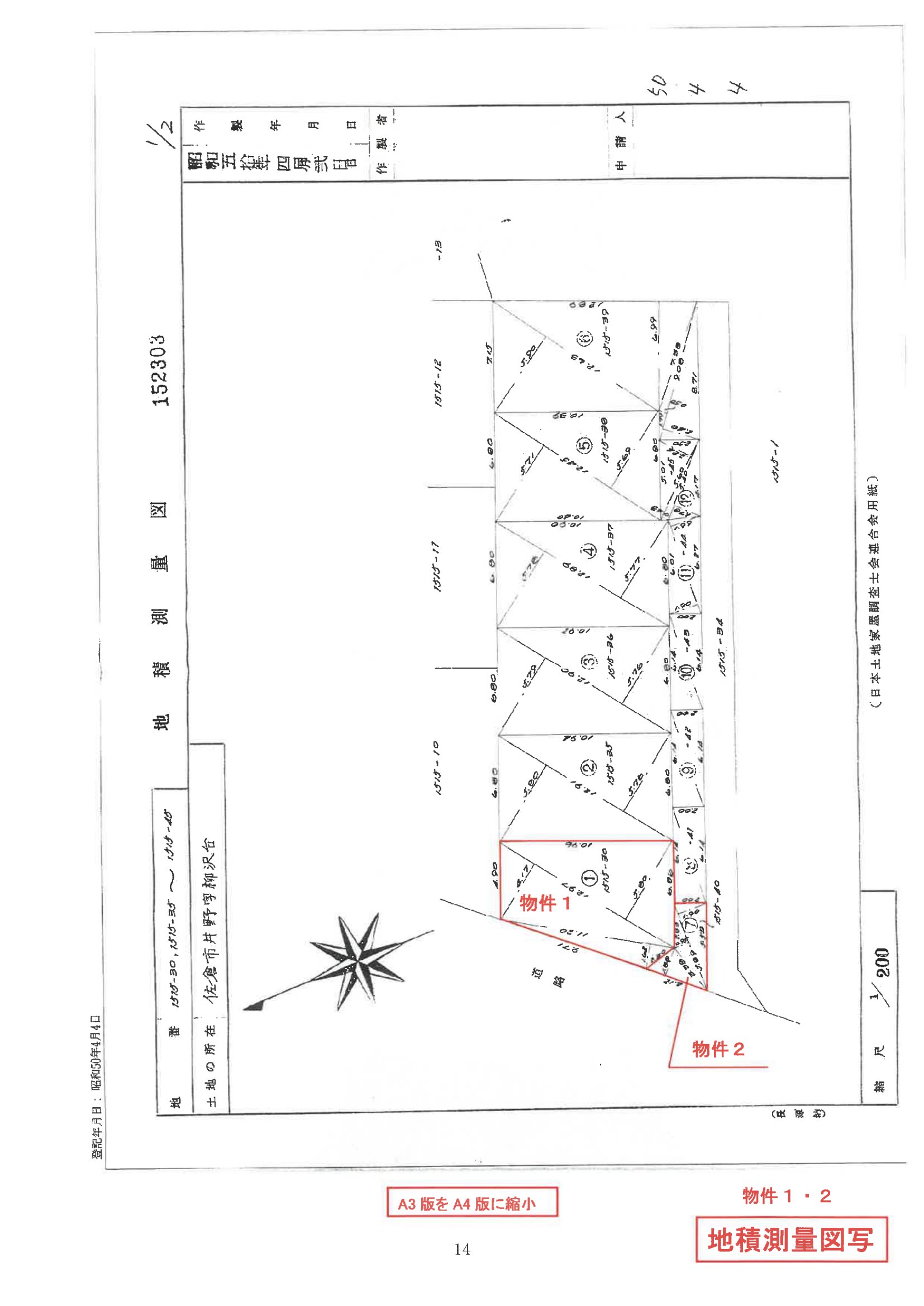
千葉県 佐倉市千葉県佐倉市井野字柳沢台 1515番30
🚉京成 / 志津 徒歩9分
売却基準価額 (裁判所評価額)
548万円
京成 / 志津 徒歩9分(0.6 km)
山万 / 地区センター 徒歩20分(1.3 km)
物件の概況
| contact_url | https://www.bit.courts.go.jp/info/info_31411.html |
|---|---|
| 入札期間 | 令和08年04月30日 〜 令和08年05月13日 |
| 開札期日 | 令和08年05月20日 |
| 公示開始日 | 令和08年04月14日 |
| 閲覧開始日 | 令和08年04月14日 |
🤖 AI 総合分析レポート
機能アップデート中
機能は現在開発中です。
次期バージョンでアップデートされる予定です。

















