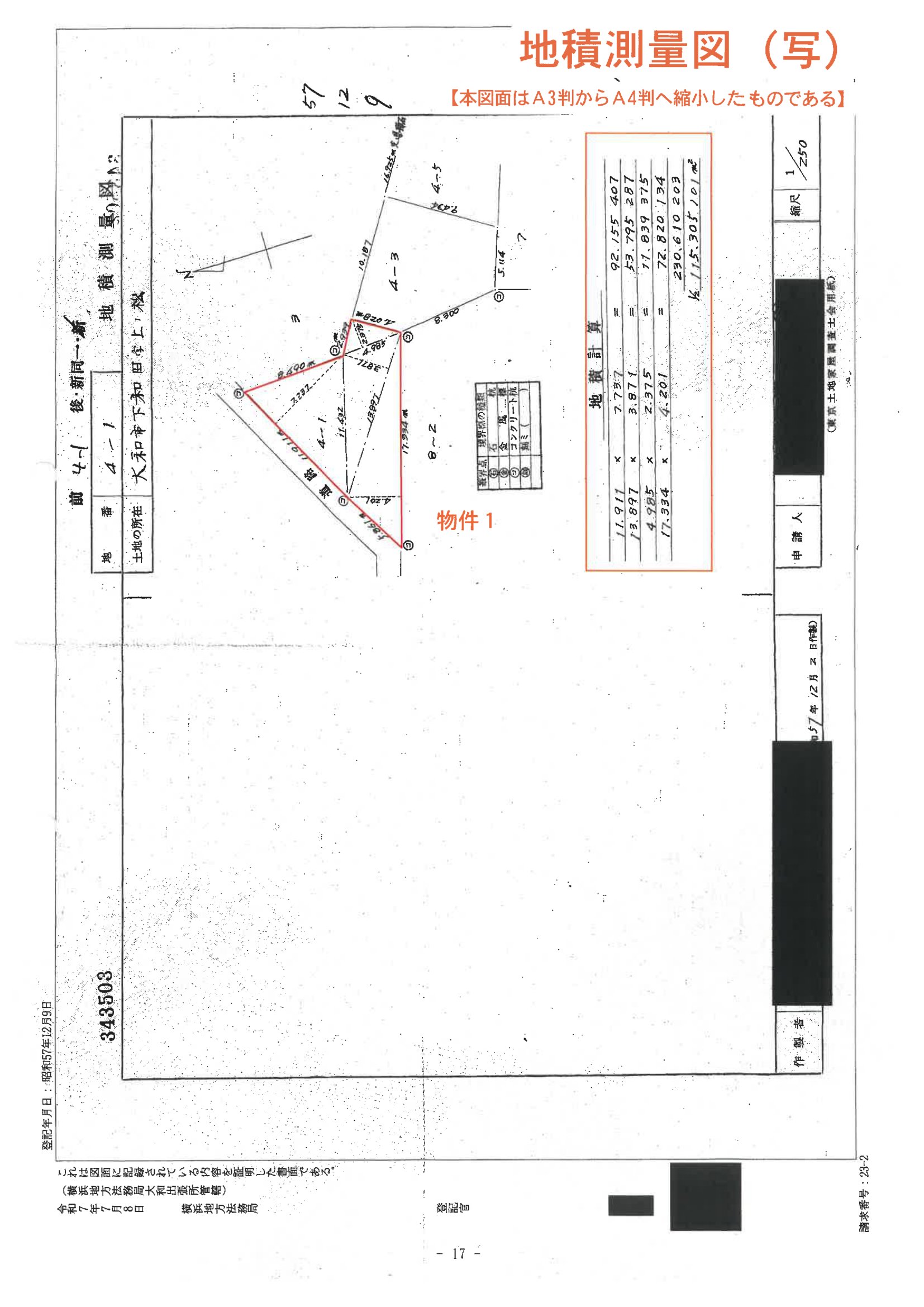
神奈川県 大和市神奈川県大和市下和田字上ノ松 4番1
🚉小田急電鉄 / 高座渋谷 徒歩9分
売却基準価額 (裁判所評価額)
669万円
小田急電鉄 / 高座渋谷 徒歩9分(0.5 km)
小田急電鉄 / 長後 徒歩31分(1.9 km)
物件の概況
| contact_url | https://www.bit.courts.go.jp/info/info_31211.html |
|---|---|
| 入札期間 | 令和08年05月07日 〜 令和08年05月13日 |
| 開札期日 | 令和08年05月19日 |
| 公示開始日 | 令和08年03月26日 |
| 閲覧開始日 | 令和08年03月26日 |
🤖 AI 総合分析レポート
機能アップデート中
機能は現在開発中です。
次期バージョンでアップデートされる予定です。




















