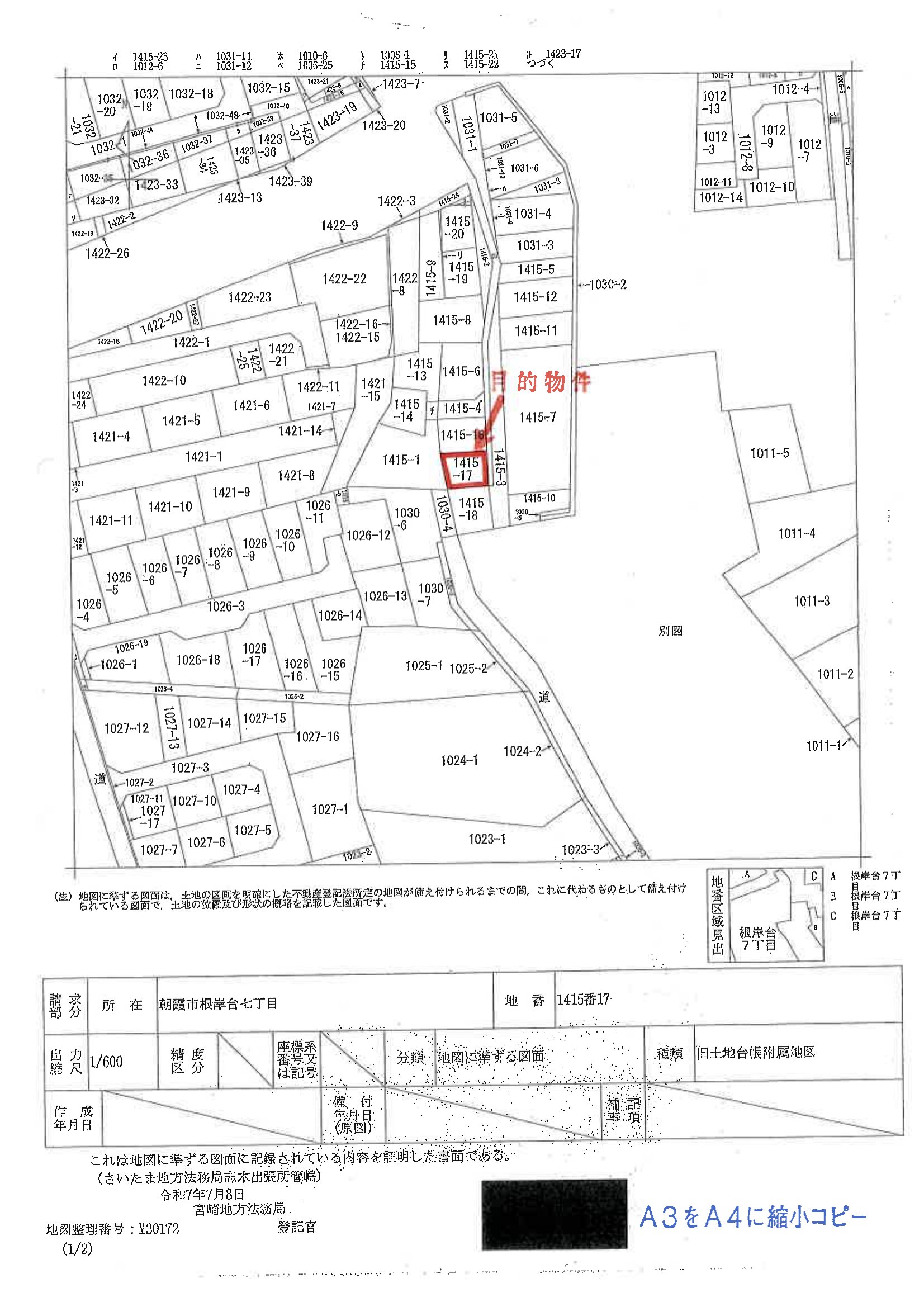
埼玉県 朝霞市埼玉県朝霞市根岸台七丁目 1415番17
🚉東武鉄道 / 朝霞 徒歩14分
売却基準価額 (裁判所評価額)
550万円
東武鉄道 / 朝霞 徒歩14分(0.9 km)
東武鉄道 / 和光市 徒歩16分(1.0 km)
物件の概況
| contact_url | https://www.bit.courts.go.jp/info/info_31311.html |
|---|---|
| 売却基準価額 | 5,500,000円 |
| 買受可能価額 | 4,400,000円 |
| 買受申出保証金 | 1,100,000円 |
競売物件詳細
🤖 AI 総合分析レポート
機能アップデート中
機能は現在開発中です。
次期バージョンでアップデートされる予定です。















