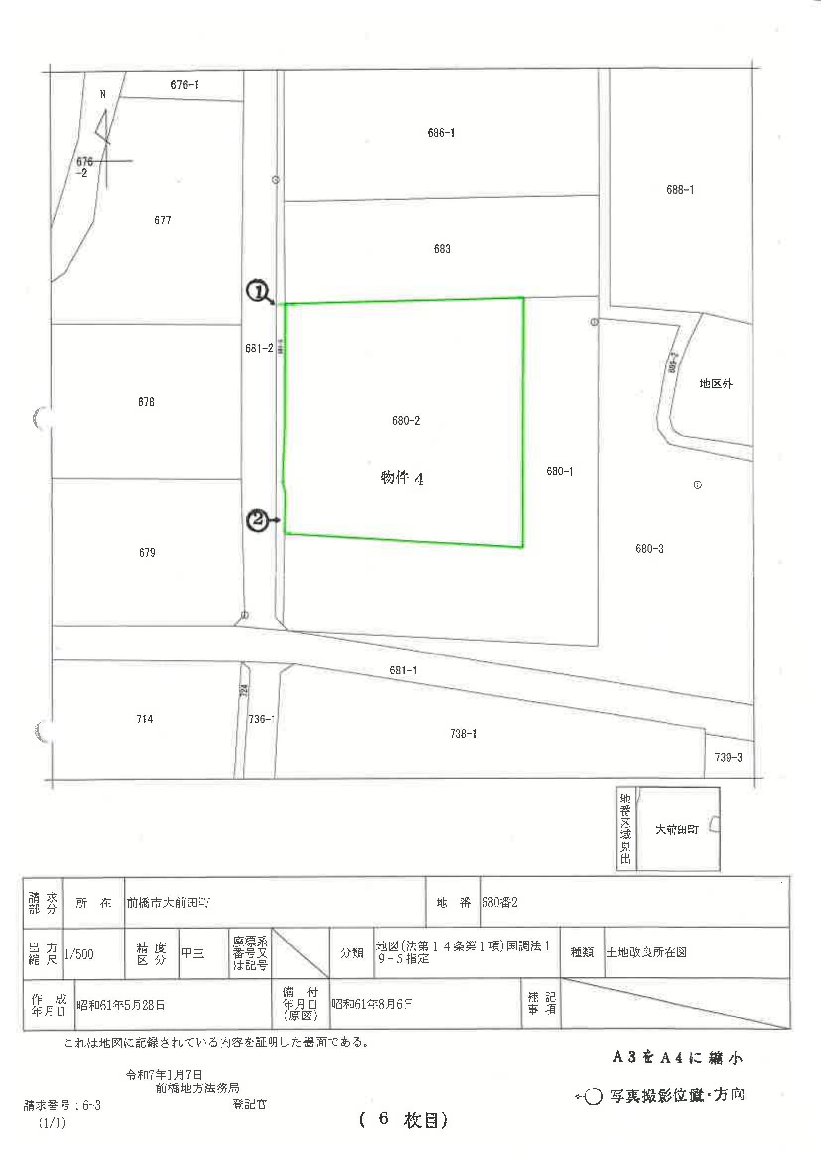
群馬県 前橋市群馬県前橋市大前田町 680番2
🚉北原 徒歩23分
売却基準価額 (裁判所評価額)
65万円
北原 徒歩23分(1.5 km)
新屋 徒歩26分(1.6 km)
物件の概況
| contact_url | https://www.bit.courts.go.jp/info/info_31711.html |
|---|---|
| 入札期間 | 令和08年05月19日 〜 令和08年05月26日 |
| 開札期日 | 令和08年06月02日 |
| 公示開始日 | 令和08年01月21日 |
| 閲覧開始日 | 令和08年01月21日 |
🤖 AI 総合分析レポート
機能アップデート中
機能は現在開発中です。
次期バージョンでアップデートされる予定です。














