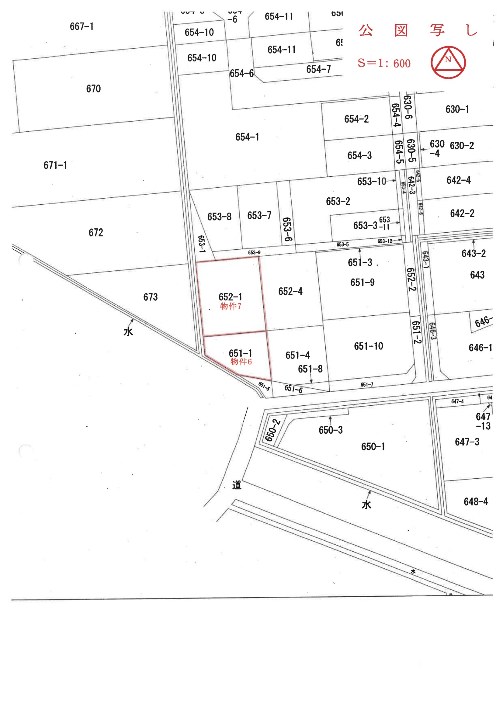
新潟県 五泉市新潟県五泉市駅前二丁目 651番1
🚉五泉 徒歩5分
売却基準価額 (裁判所評価額)
504万円
五泉 徒歩5分(0.3 km)
北五泉 徒歩27分(1.7 km)
物件の概況
| contact_url | https://www.bit.courts.go.jp/info/info_32111.html |
|---|---|
| 入札期間 | 令和08年05月11日 〜 令和08年05月18日 |
| 開札期日 | 令和08年05月25日 |
| 公示開始日 | 令和08年04月13日 |
| 閲覧開始日 | 令和08年04月13日 |
🤖 AI 総合分析レポート
機能アップデート中
機能は現在開発中です。
次期バージョンでアップデートされる予定です。


















