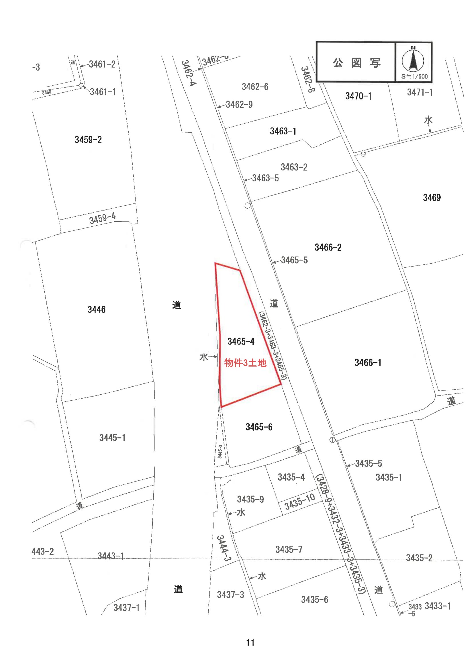
岡山県 倉敷市岡山県倉敷市真備町箭田字守屋田 3465番4
🚉吉備真備 徒歩6分
売却基準価額 (裁判所評価額)
134万円
吉備真備 徒歩6分(0.3 km)
備中呉妹 徒歩39分(2.5 km)
物件の概況
| contact_url | https://www.bit.courts.go.jp/info/info_35311.html |
|---|---|
| 入札期間 | 令和08年05月07日 〜 令和08年05月14日 |
| 開札期日 | 令和08年05月21日 |
| 公示開始日 | 令和08年04月10日 |
| 閲覧開始日 | 令和08年04月10日 |
🤖 AI 総合分析レポート
機能アップデート中
機能は現在開発中です。
次期バージョンでアップデートされる予定です。



















