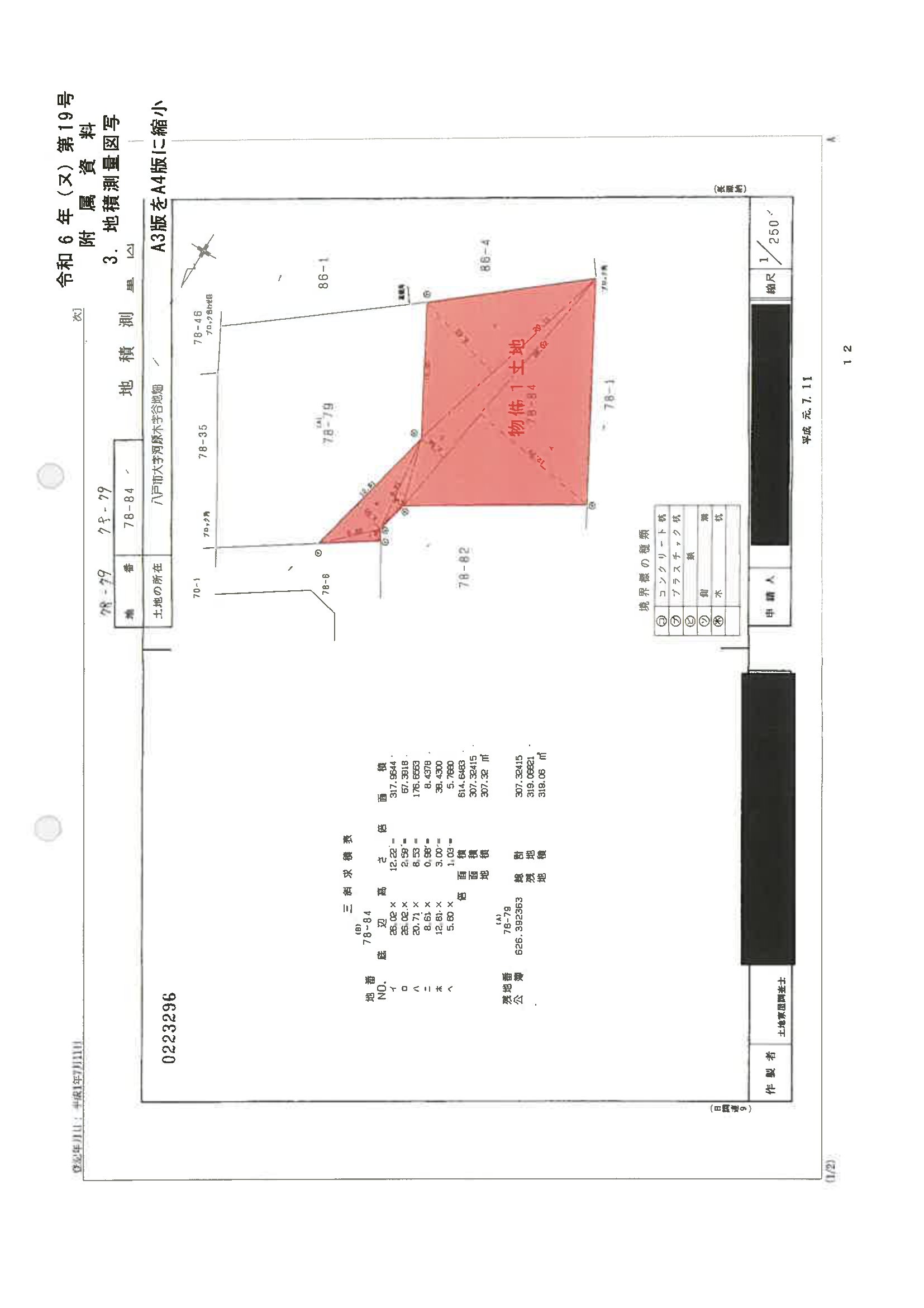
青森県 八戸市青森県八戸市日計二丁目 78番84
🚉長苗代 徒歩33分
売却基準価額 (裁判所評価額)
315万円
長苗代 徒歩33分(2.1 km)
本八戸 徒歩45分(2.9 km)
物件の概況
| contact_url | https://www.bit.courts.go.jp/info/info_37632.html |
|---|---|
| 入札期間 | 令和08年05月07日 〜 令和08年05月14日 |
| 開札期日 | 令和08年05月20日 |
| 公示開始日 | 令和08年03月12日 |
| 閲覧開始日 | 令和08年03月12日 |
🤖 AI 総合分析レポート
機能アップデート中
機能は現在開発中です。
次期バージョンでアップデートされる予定です。




















