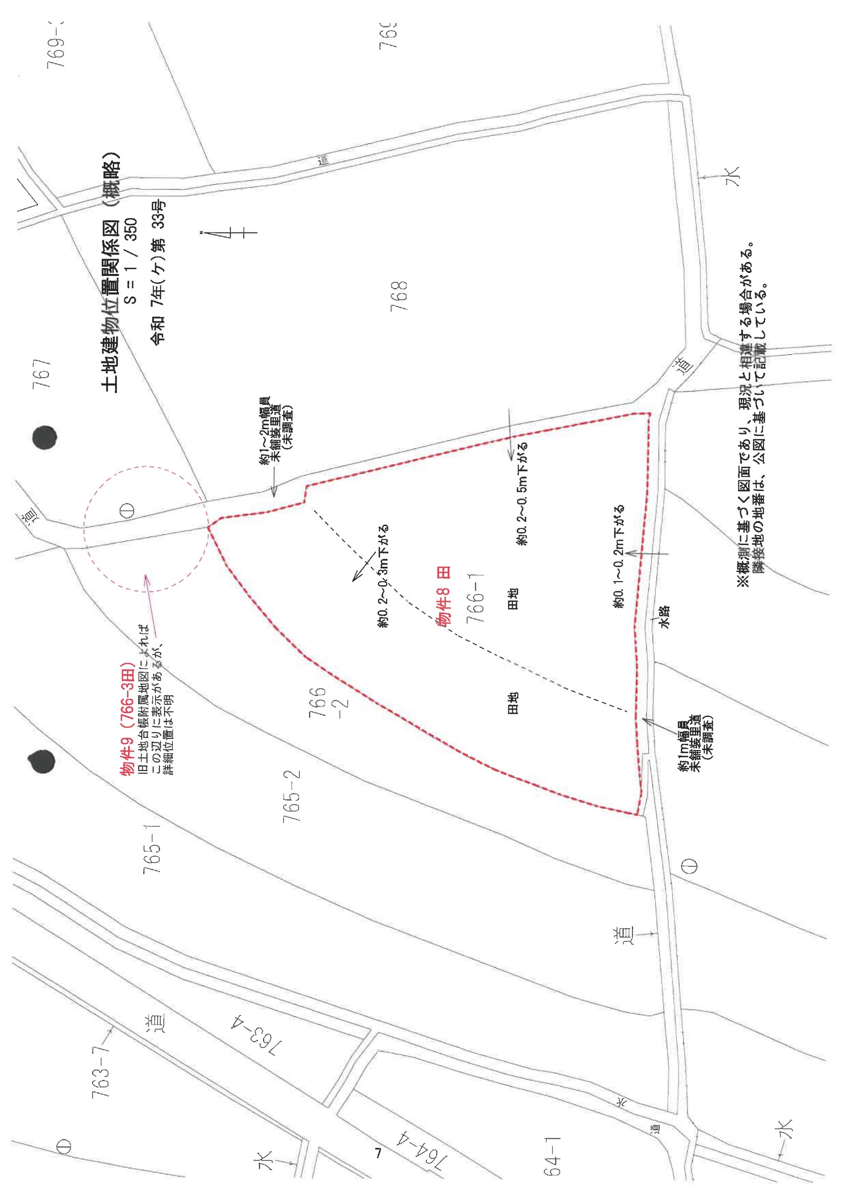
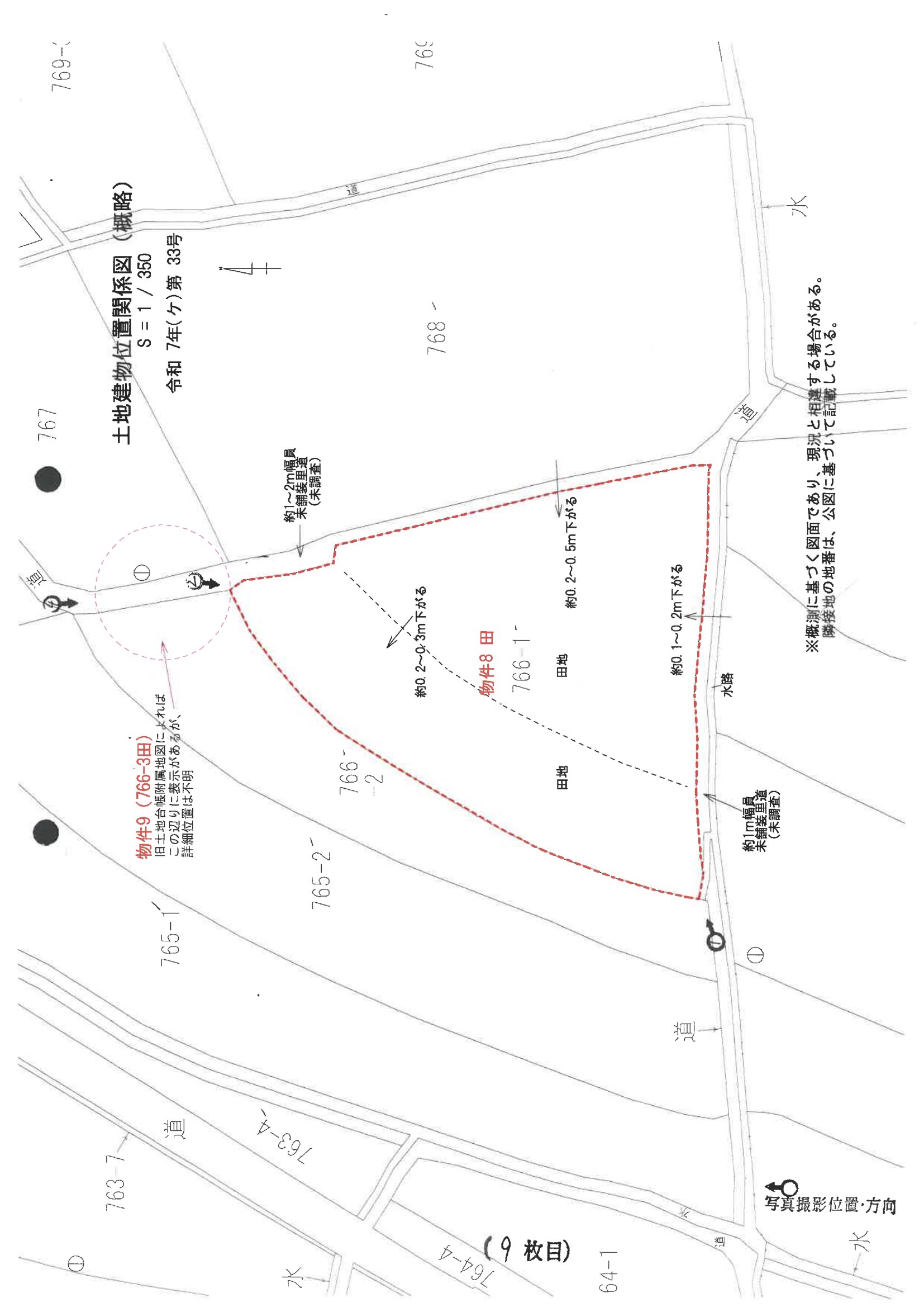
香川県 丸亀市香川県丸亀市綾歌町岡田東字下新開 766番1
🚉岡田 徒歩13分
売却基準価額 (裁判所評価額)
65万円
岡田 徒歩13分(0.8 km)
栗熊 徒歩30分(1.9 km)
物件の概況
| contact_url | https://www.bit.courts.go.jp/info/info_39111.html |
|---|---|
| 入札期間 | 令和08年04月10日 〜 令和08年04月17日 |
| 開札期日 | 令和08年04月22日 |
| 公示開始日 | 令和08年02月20日 |
| 閲覧開始日 | 令和08年02月20日 |
🤖 AI 総合分析レポート
機能アップデート中
機能は現在開発中です。
次期バージョンでアップデートされる予定です。
















