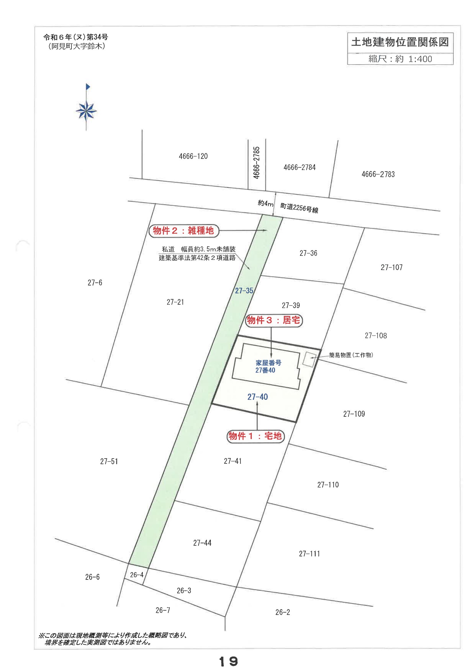
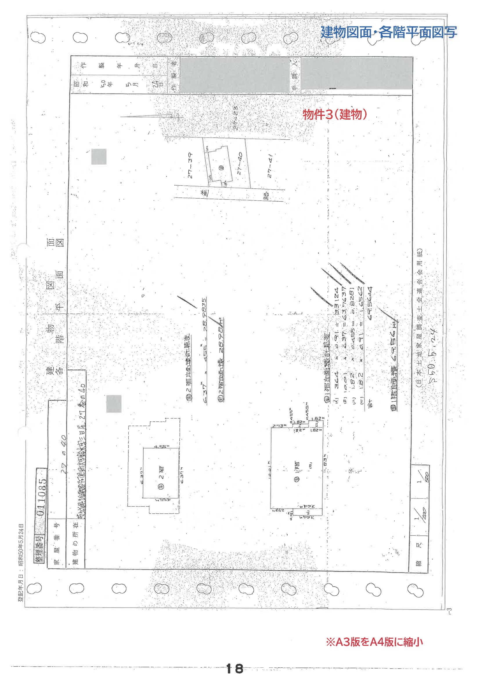
茨城県 稲敷郡茨城県稲敷郡阿見町大字鈴木字三ケ尻 27番40
🚉荒川沖 徒歩73分
売却基準価額 (裁判所評価額)
181万円
荒川沖 徒歩73分(4.7 km)
ひたち野うしく 徒歩89分(5.6 km)
物件の概況
| contact_url | https://www.bit.courts.go.jp/info/info_31531.html |
|---|---|
| 入札期間 | 令和08年05月08日 〜 令和08年05月15日 |
| 開札期日 | 令和08年05月22日 |
| 公示開始日 | 令和08年04月13日 |
| 閲覧開始日 | 令和08年04月13日 |
🤖 AI 総合分析レポート
機能アップデート中
機能は現在開発中です。
次期バージョンでアップデートされる予定です。




















