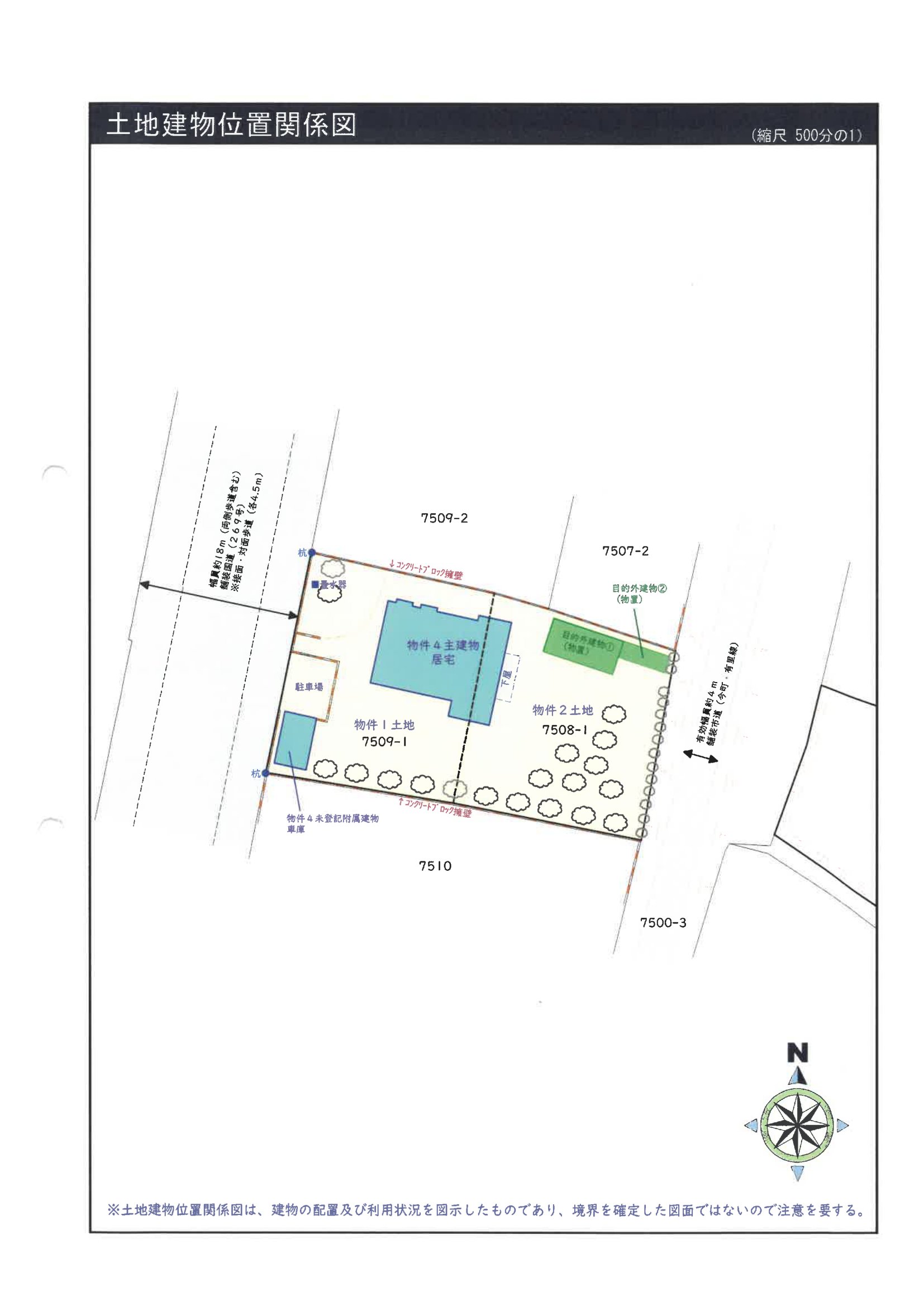
宮崎県 都城市宮崎県都城市今町 7509番1
🚉JR日豊線 / 五十市 徒歩53分
売却基準価額 (裁判所評価額)
332万円
JR日豊線 / 五十市 徒歩53分(3.4 km)
JR日豊線 / 西都城 徒歩69分(4.4 km)
物件の概況
| contact_url | https://www.bit.courts.go.jp/info/info_36711.html |
|---|---|
| 入札期間 | 令和08年06月25日 〜 令和08年07月02日 |
| 開札期日 | 令和08年07月09日 |
| 公示開始日 | 令和08年04月16日 |
| 閲覧開始日 | 令和08年04月16日 |
🤖 AI 総合分析レポート
機能アップデート中
機能は現在開発中です。
次期バージョンでアップデートされる予定です。



















