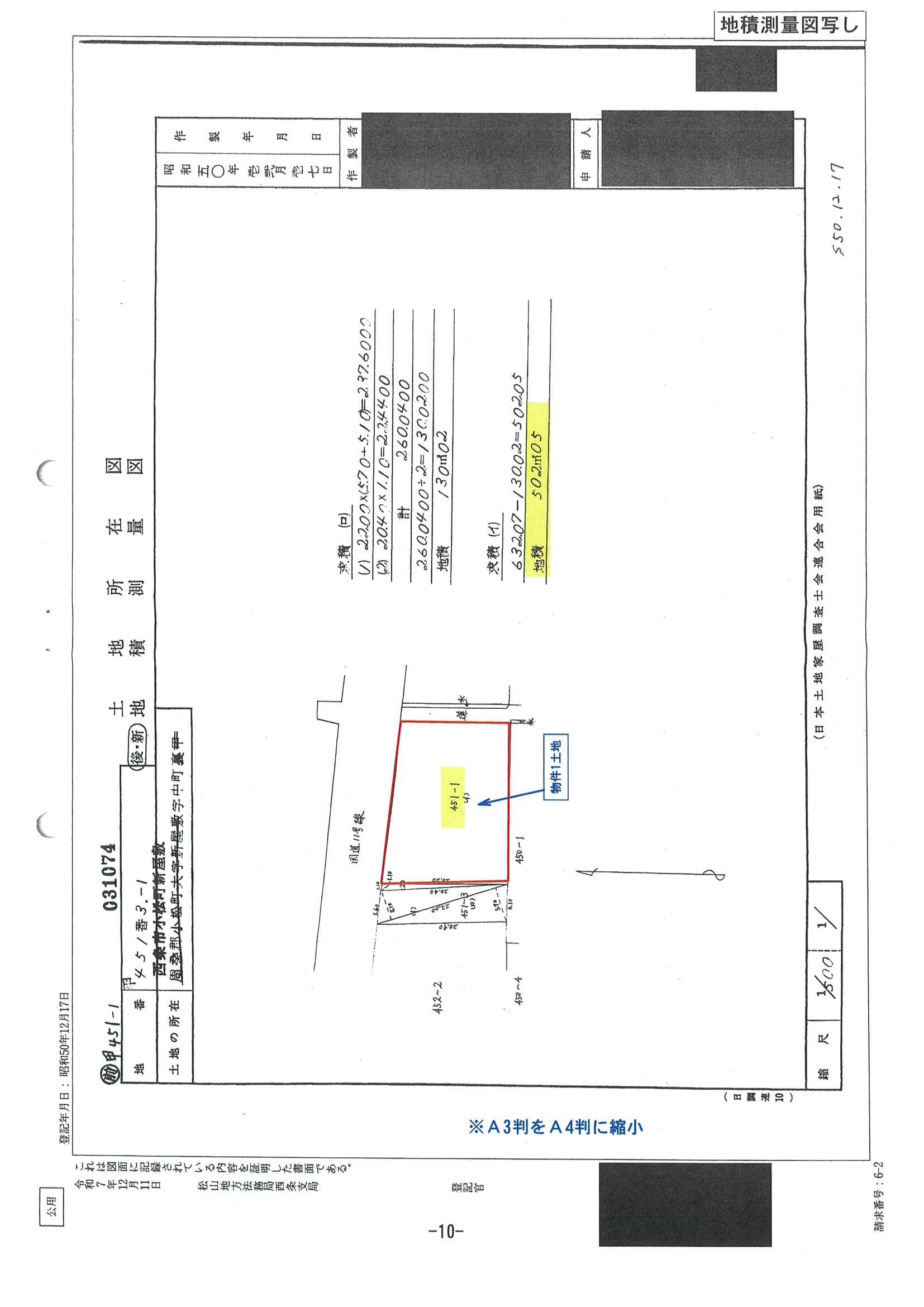
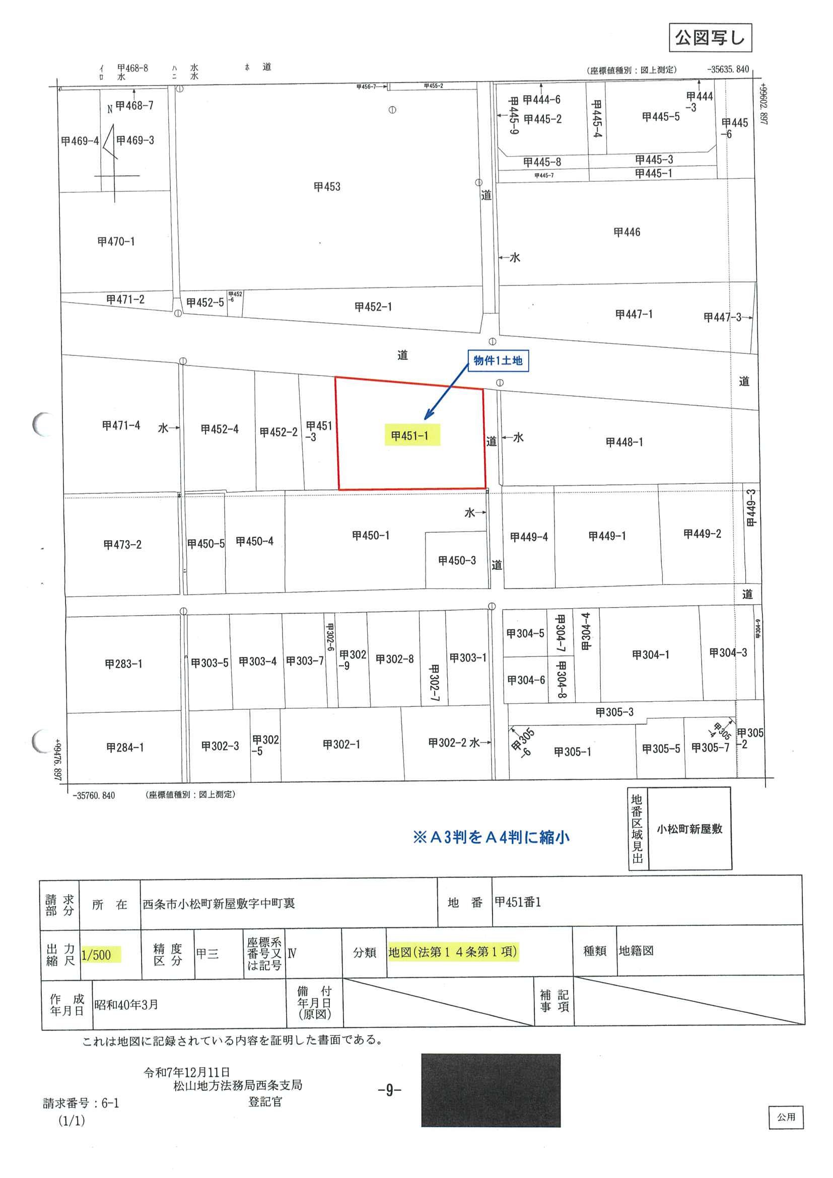
愛媛県 西条市愛媛県西条市小松町新屋敷字中町裏 甲451番1
売却基準価額 (裁判所評価額)
221万円
物件の概況
| contact_url | https://www.bit.courts.go.jp/info/info_39411.html |
|---|---|
| 入札期間 | 令和08年04月09日 〜 令和08年04月16日 |
| 開札期日 | 令和08年04月23日 |
| 公示開始日 | 令和08年03月12日 |
| 閲覧開始日 | 令和08年03月12日 |
🤖 AI 総合分析レポート
機能アップデート中
機能は現在開発中です。
次期バージョンでアップデートされる予定です。






