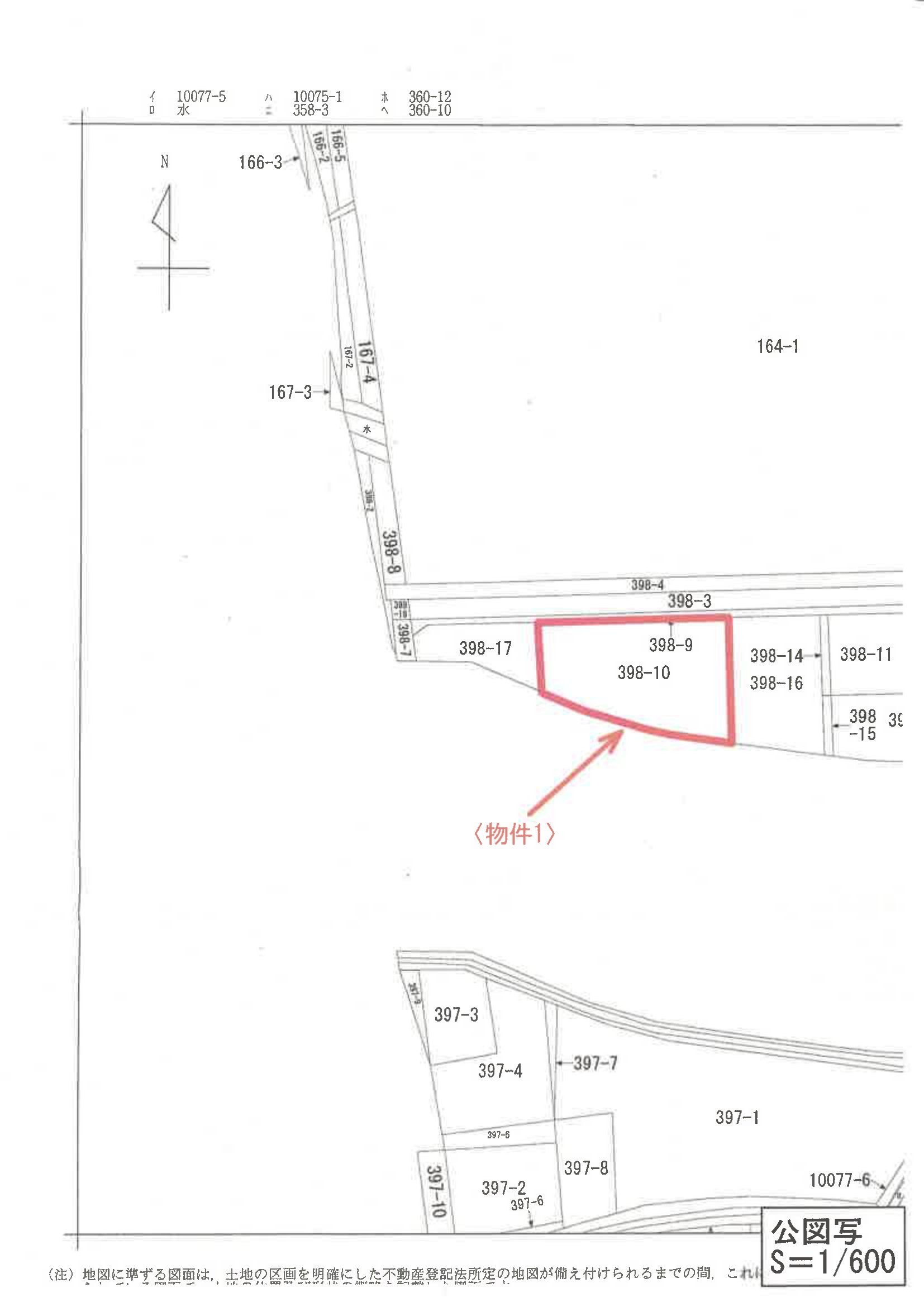
静岡県 島田市静岡県島田市中河町 398番10
🚉島田 徒歩22分
売却基準価額 (裁判所評価額)
1,590万円
島田 徒歩22分(1.4 km)
六合 徒歩42分(2.7 km)
物件の概況
| contact_url | https://www.bit.courts.go.jp/info/info_31811.html |
|---|---|
| 入札期間 | 令和08年05月01日 〜 令和08年05月12日 |
| 開札期日 | 令和08年05月19日 |
| 公示開始日 | 令和08年04月03日 |
| 閲覧開始日 | 令和08年04月03日 |
🤖 AI 総合分析レポート
機能アップデート中
機能は現在開発中です。
次期バージョンでアップデートされる予定です。




















