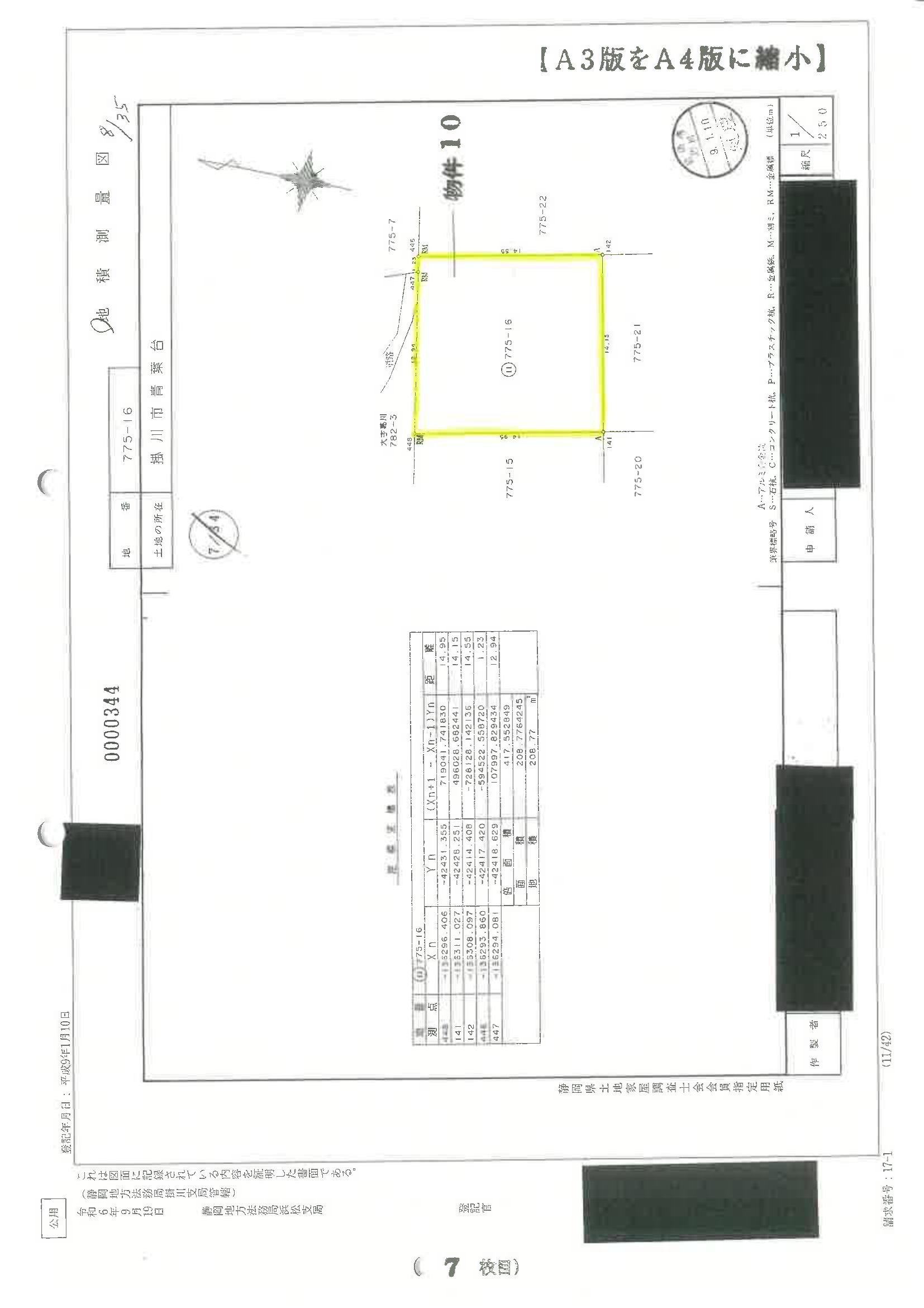
静岡県 掛川市静岡県掛川市青葉台 775番16
🚉掛川 徒歩26分
売却基準価額 (裁判所評価額)
130万円
掛川 徒歩26分(1.6 km)
掛川 徒歩26分(1.7 km)
物件の概況
| contact_url | https://www.bit.courts.go.jp/info/info_31832.html |
|---|---|
| 入札期間 | 令和08年05月01日 〜 令和08年05月13日 |
| 開札期日 | 令和08年05月20日 |
| 公示開始日 | 令和08年04月03日 |
| 閲覧開始日 | 令和08年04月03日 |
🤖 AI 総合分析レポート
機能アップデート中
機能は現在開発中です。
次期バージョンでアップデートされる予定です。



















