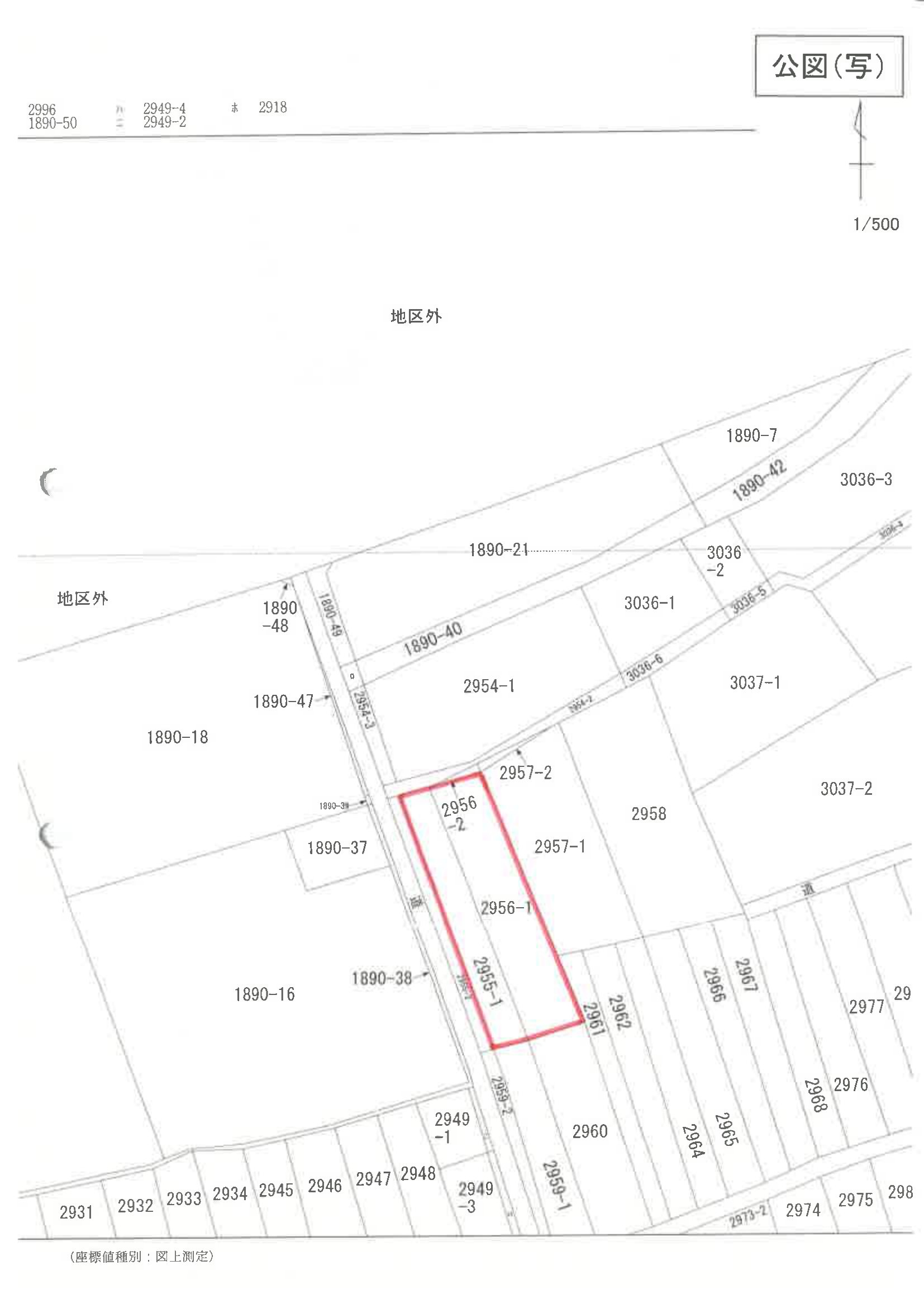
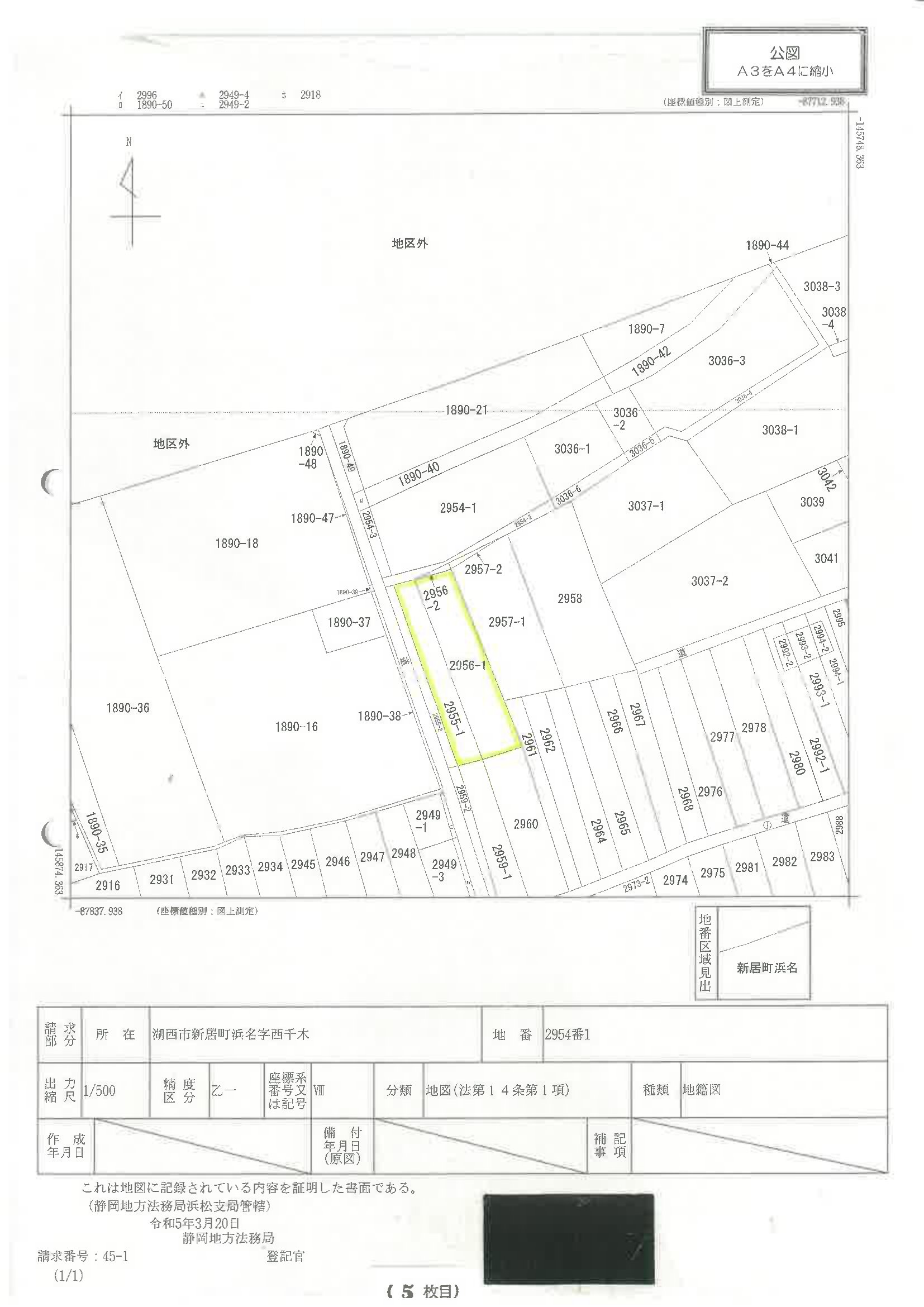
静岡県 湖西市静岡県湖西市新居町浜名字西千木 2955番1
🚉JR東海道本線 / 新居町 徒歩33分
売却基準価額 (裁判所評価額)
37万円
JR東海道本線 / 新居町 徒歩33分(2.1 km)
鷲津 徒歩55分(3.5 km)
物件の概況
| contact_url | https://www.bit.courts.go.jp/info/info_31832.html |
|---|---|
| 入札期間 | 令和08年05月27日 〜 令和08年06月03日 |
| 開札期日 | 令和08年06月10日 |
| 公示開始日 | 令和08年03月09日 |
| 閲覧開始日 | 令和08年03月09日 |
🤖 AI 総合分析レポート
機能アップデート中
機能は現在開発中です。
次期バージョンでアップデートされる予定です。

















