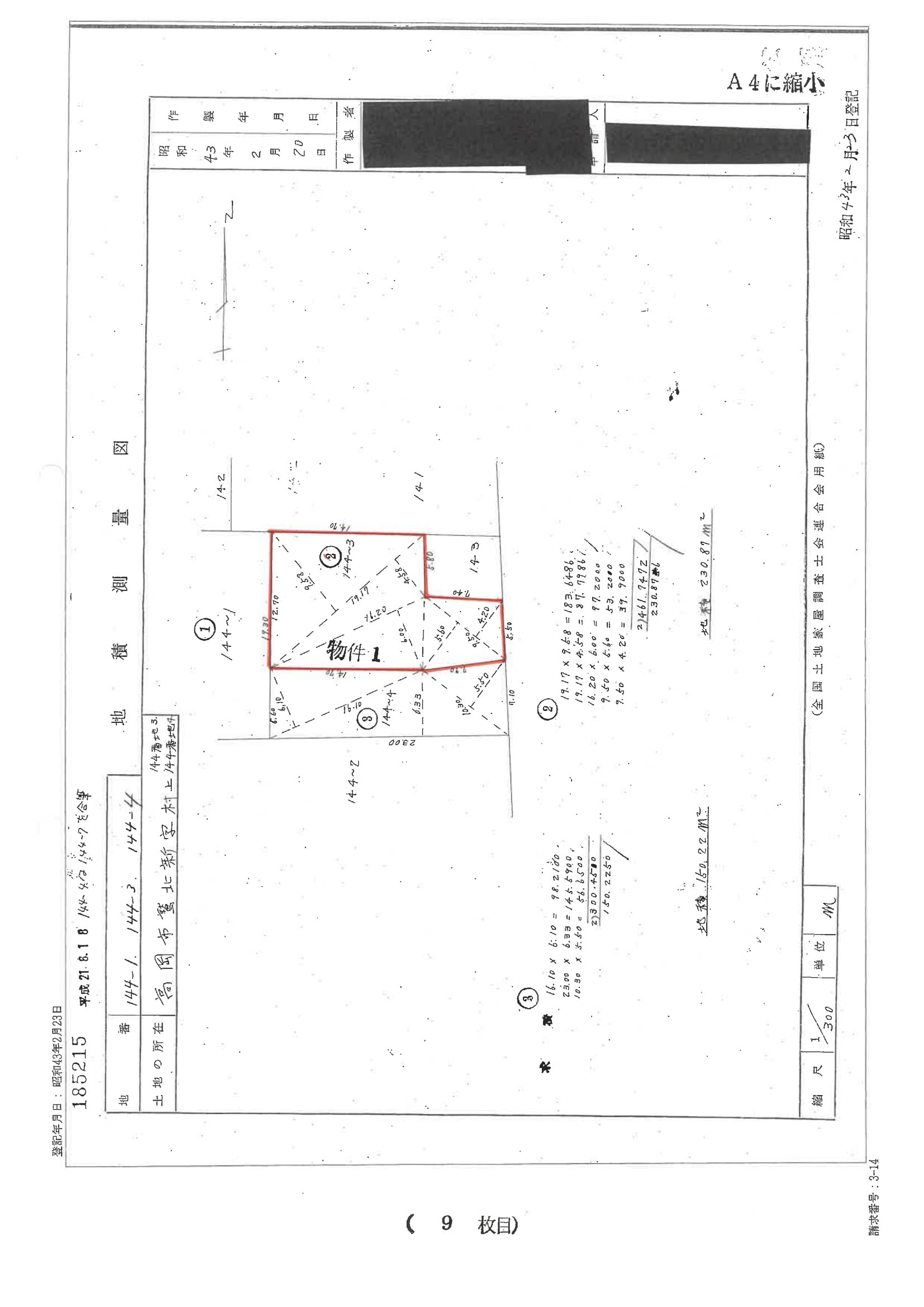
富山県 高岡市富山県高岡市鷲北新字村上 144番3
🚉能町 徒歩2分
売却基準価額 (裁判所評価額)
159万円
能町 徒歩2分(0.1 km)
伏木 徒歩48分(3.1 km)
物件の概況
| contact_url | https://www.bit.courts.go.jp/info/info_34631.html |
|---|---|
| 入札期間 | 令和08年05月07日 〜 令和08年05月14日 |
| 開札期日 | 令和08年05月20日 |
| 公示開始日 | 令和08年04月10日 |
| 閲覧開始日 | 令和08年04月10日 |
🤖 AI 総合分析レポート
機能アップデート中
機能は現在開発中です。
次期バージョンでアップデートされる予定です。















