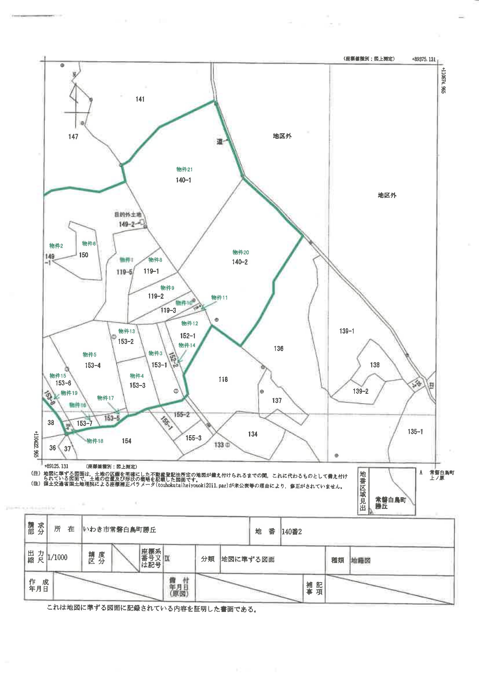
福島県 いわき市福島県いわき市常磐白鳥町勝丘 119番5
🚉東日本旅客鉄道 / 湯本 徒歩32分
売却基準価額 (裁判所評価額)
3,942万円
東日本旅客鉄道 / 湯本 徒歩32分(2.0 km)
東日本旅客鉄道 / 泉 徒歩69分(4.4 km)
物件の概況
| contact_url | https://www.bit.courts.go.jp/info/info_37234.html |
|---|---|
| 入札期間 | 令和08年04月14日 〜 令和08年04月21日 |
| 開札期日 | 令和08年04月28日 |
| 公示開始日 | 令和08年03月24日 |
| 閲覧開始日 | 令和08年03月24日 |
🤖 AI 総合分析レポート
機能アップデート中
機能は現在開発中です。
次期バージョンでアップデートされる予定です。




















