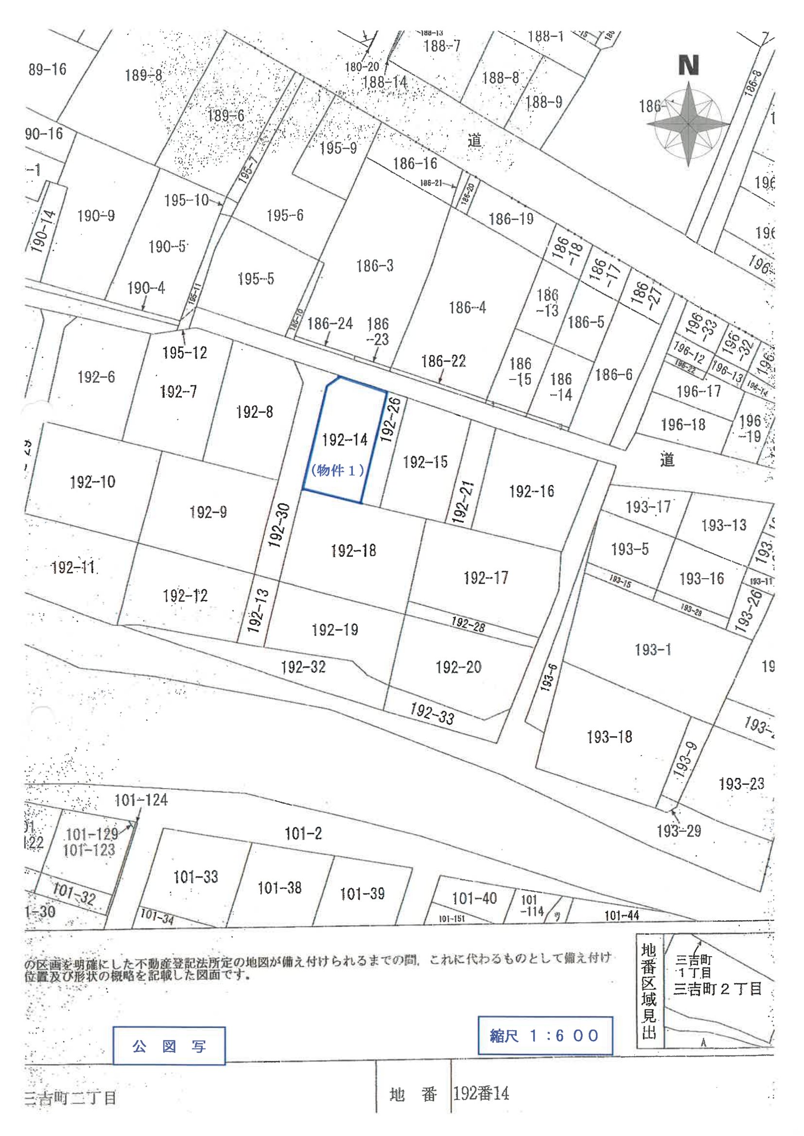
群馬県 桐生市群馬県桐生市三吉町二丁目 192番14
🚉新桐生 徒歩19分
売却基準価額 (裁判所評価額)
121万円
新桐生 徒歩19分(1.2 km)
桐生 徒歩23分(1.4 km)
物件の概況
| contact_url | https://www.bit.courts.go.jp/info/info_31731.html |
|---|---|
| 入札期間 | 令和08年04月09日 〜 令和08年04月16日 |
| 開札期日 | 令和08年04月23日 |
| 公示開始日 | 令和08年03月10日 |
| 閲覧開始日 | 令和08年03月10日 |
🤖 AI 総合分析レポート
機能アップデート中
機能は現在開発中です。
次期バージョンでアップデートされる予定です。














