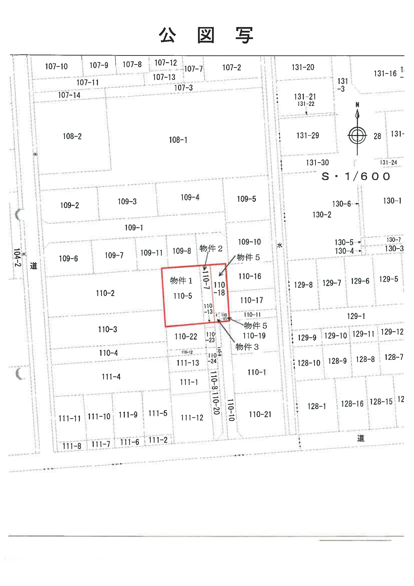
新潟県 三条市新潟県三条市鶴田一丁目 110番5
🚉東三条 徒歩28分
売却基準価額 (裁判所評価額)
565万円
東三条 徒歩28分(1.8 km)
保内 徒歩33分(2.1 km)
物件の概況
| contact_url | https://www.bit.courts.go.jp/info/info_32141.html |
|---|---|
| 入札期間 | 令和08年05月15日 〜 令和08年05月22日 |
| 開札期日 | 令和08年05月27日 |
| 公示開始日 | 令和08年04月03日 |
| 閲覧開始日 | 令和08年04月03日 |
🤖 AI 総合分析レポート
機能アップデート中
機能は現在開発中です。
次期バージョンでアップデートされる予定です。

















