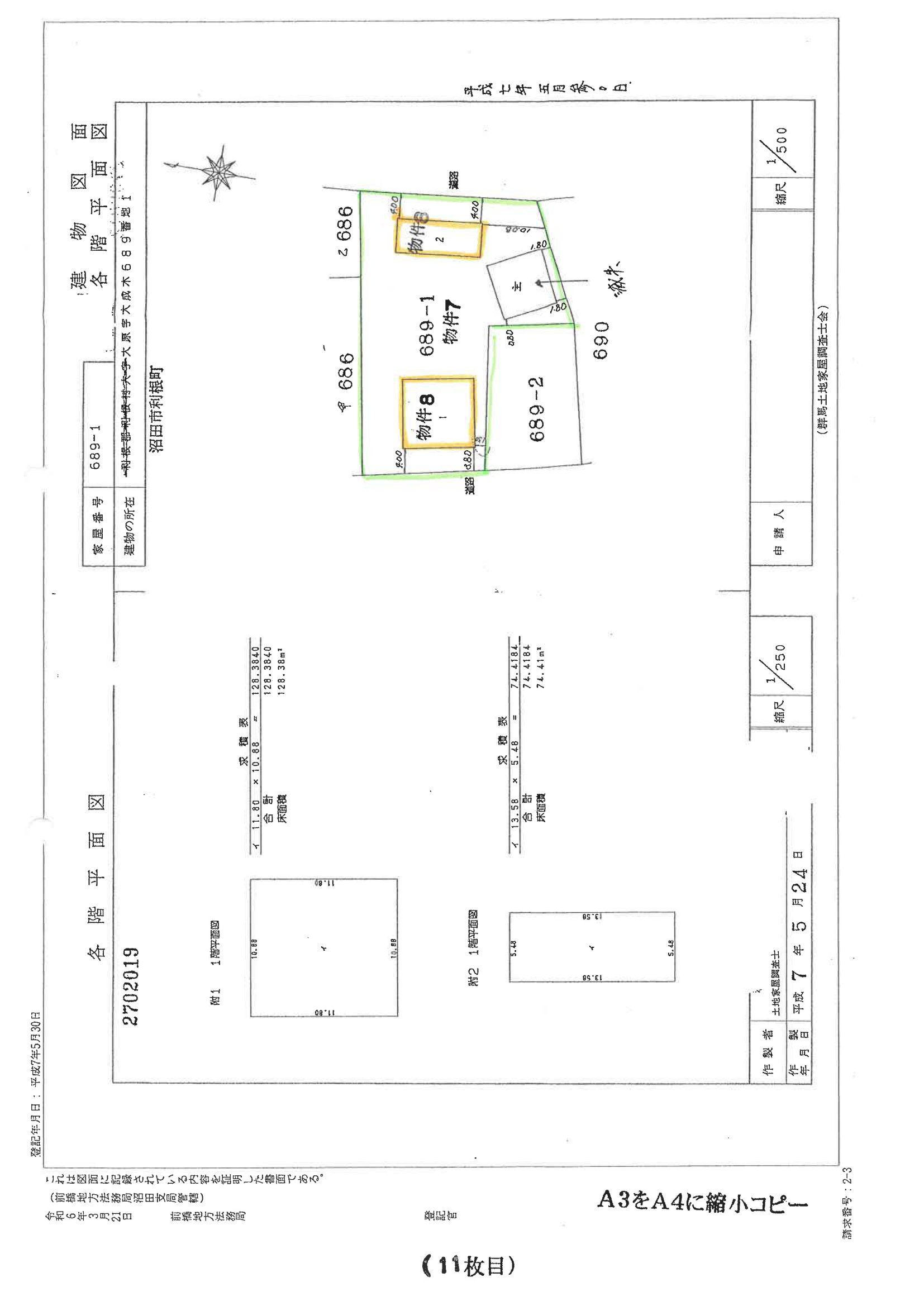
群馬県 沼田市群馬県沼田市利根町大原字大成木 686番甲
🚉沼田 徒歩229分
売却基準価額 (裁判所評価額)
53万円
沼田 徒歩229分(14.6 km)
岩本 徒歩245分(15.6 km)
物件の概況
| contact_url | https://www.bit.courts.go.jp/info/info_31741.html |
|---|---|
| 入札期間 | 令和08年06月03日 〜 令和08年06月10日 |
| 開札期日 | 令和08年06月17日 |
| 公示開始日 | 令和08年03月11日 |
| 閲覧開始日 | 令和08年03月11日 |
🤖 AI 総合分析レポート
機能アップデート中
機能は現在開発中です。
次期バージョンでアップデートされる予定です。




















